مشروع

مجمع سكني في عرقة — الرياض

نظرة عامة على المشروع

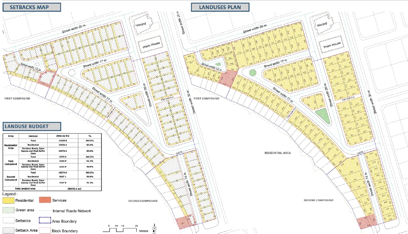
يُعد مشروع مجمع سكني في عرقة أحد مشاريع التطوير السكني التي تستهدف إنشاء بيئة سكنية حديثة ومتوازنة في مدينة الرياض، حيث يمتد المشروع على مساحة تقارب 60,000 متر مربع، ويشمل تطوير مجمعين سكنيين صغيرين ومنطقة سكنية متكاملة.

وقد تم تصميم المشروع بما يتوافق مع الاشتراطات والمعايير التخطيطية لهيئة تطوير بوابة الدرعية، لضمان تحقيق تنمية عمرانية متوازنة تتماشى مع الطابع الحضري للمنطقة ومتطلبات البنية التحتية والخدمات.
كما ساهمت الشركة في إعداد المخطط العمراني للمجمع السكني وتطوير الحلول التخطيطية التي تحقق الاستخدام الأمثل للأراضي وتعزز جودة الحياة للسكان.

مشاريع تعكس خبرة متراكمة

مشاريع أخرى ضمن محفظة أعمالنا

تمثل مشاريعنا سجلًا عمليًا لخبراتنا في دعم الجهات الحكومية وشبة الحكومية والقطاع الخاص من خلال حلول تخطيطية وهندسية متكاملة تسهم في تحقيق أهداف التنمية المستدامة.